物件価格
月々のお支払い例
1,659.77円
※金利1.20% 借入金額:物件価格、借入期間35年
物件の特徴
主な特徴
2階建
即入居可
物件概要
| 価格 | 480万円 | 間取り | |
|---|---|---|---|
| 物件種別 | 中古一戸建て | ||
| 所在地 | 兵庫県姫路市船津町 | ||
| アクセス | JR播但線『香呂』 徒歩20分 (約1600m) |
||
| 建物面積 | 公174.86㎡ | 駐車場 | なし |
| 築年月 | 1973年(昭和48年)01月築 | ||
| 建物構造 | 鉄骨 2階建 | 工法 | |
| 主要採光 | バルコニー | ||
| 保証・評価 | |||
| リフォーム | |||
| 土地面積 | 451.45㎡(136.56坪) | 接道 | 西側(公道)幅 約3.0m |
| 私道 | セットバック | ||
| 地目 | 宅地 | 地勢 | 平坦 |
| 権利 | 所有権 |
||
| 都市計画 | 調整区域 |
用途地域 | 指定無 |
| 建ぺい/容積率 | 60% / 160% | 土地国土法 | |
| 許可番号 | 建築基準法 | ||
| 法令制限 | |||
| 小学区 | 中学区 | ||
| 現況 | 空 | 引渡 | 即 |
| その他費用 | |||
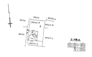
| 備考 | A 3654-2は未登記家屋 鉄骨造陸屋根2階建て 雨漏りあり 昭和48年築 132.08㎡ B 3654-6は軽量鉄骨造石綿セメント板葺平屋建 下水が繋がっていない 昭和51年築 42.78㎡ |
||
| 物件番号 | 4629181 | 取引態様 | 媒介 |
























